Save
Ask
Tour
Hide
$2,000,000
1440 Days On Site
0 County Road 5 1/2Mead, CO 80504
For Sale|Land|Active
Subdivision:
None
County:
Weld


Save
Ask
Tour
Hide
Mortgage Calculator
Monthly Payment (Est.)
$9,125Calculator powered by Showcase IDX, a Constellation1 Company. Copyright ©2025 Information is deemed reliable but not guaranteed.
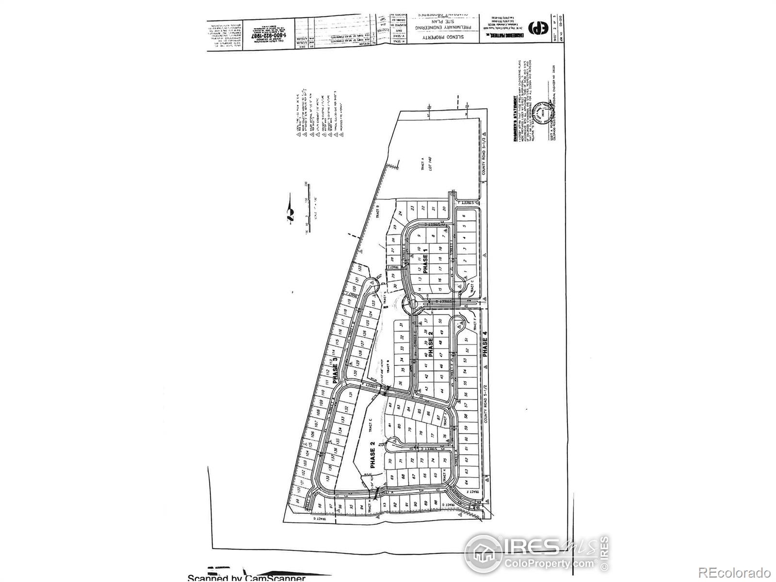
53.2 acres total +/- that is poised for development adjacent to the Liberty Ranch neighborhood. Residential land was preliminarily platted for 139 residential lots. Close to shopping, schools, and parks. Please do not disturb tenants.
Save
Ask
Tour
Hide
Listing Snapshot
PriceÂ
$2,000,000
Days On SiteÂ
1440 Days
BedroomsÂ
N/A
Inside Area (SqFt)Â
N/A
Total BathsÂ
N/A
Full BathsÂ
N/A
Partial BathsÂ
N/A
Lot SizeÂ
53.2 Acres
Year BuiltÂ
N/A
MLS® NumberÂ
IR954861
StatusÂ
Active
Property TaxÂ
$3,172.4
HOA/Condo/Coop FeesÂ
N/A
Sq Ft SourceÂ
N/A
Friends & Family
Recent Activity
| 3 days ago | Listing updated with changes from the MLS® | |
| 11 months ago | Price changed to $2,000,000 | |
| 4 years ago | Listing first seen on site |
General Features
AcresÂ
53.2
SewerÂ
Septic Tank
Water SourceÂ
Public
ZoningÂ
AG
Save
Ask
Tour
Hide
Exterior Features
FencingÂ
Partial
Lot FeaturesÂ
Corner Lot
ViewÂ
Mountain(s)
WaterviewÂ
Mountain(s)
Community Features
RoadsÂ
Paved
School DistrictÂ
St. Vrain Valley RE-1J
Schools
School District
St. Vrain Valley RE-1J
Elementary School
Mead
Middle School
Mead
High School
Mead
Listing courtesy of Group Mulberry jbillings@thegroupinc.com
The content relating to real estate for sale in this Web site comes in part from the Internet Data eXchange ("IDX") program of METROLIST, INC., DBA RECOLORADO real estate listings held by brokers other than Group Mulberry are marked with the IDX Logo. This information is being provided for the consumers' personal, non-commercial use and may not be used for any other purpose. All information subject to change and should be independently verified.
The content relating to real estate for sale in this Web site comes in part from the Internet Data eXchange ("IDX") program of METROLIST, INC., DBA RECOLORADO real estate listings held by brokers other than Group Mulberry are marked with the IDX Logo. This information is being provided for the consumers' personal, non-commercial use and may not be used for any other purpose. All information subject to change and should be independently verified.
Neighborhood & Commute
Source: Walkscore
Disclosure: Community information and market data powered by Constellation Data Labs. Information is deemed reliable but not guaranteed.
Save
Ask
Tour
Hide
Posted in
Did you know? You can invite friends and family to your search. They can join your search, rate and discuss listings with you.